Ein gefährlicher Tag mit Hohem Risiko des SPC von Oklahoma bis Texas. Nachdem die Gruppe vollzählig ist, jagen wir mehrere Superzellen von Childress bis Abilene, inklusive einem Tornado, der vom Regen verhüllt ist.

Unsere Strecke am 19.05. und 20.05.2019: 910 km
Video von Jörg Ölsner:
Heute schreibt: Felix Dietzsch
Nach dem erfolgreichen Vortag legen wir am Sonntag eine Ruhepause ein und nutzen den Tag, um uns ins Texas Panhandle hinein zu verlagern. Nicht aber, ohne vorher wenigstens dem International House Of Pancakes einen Besuch abgestattet zu haben, schließlich möchte man zwischendurch auch etwas Amerika als solches genießen.
Nach diesem Kalorienfest brechen wir auf gen Süden. Auf dem Weg dahin kommen wir an El Reno vorbei (die älteren werden sich erinnern), und so nutzen wir die Gelegenheit, um dem TWISTEX-Memorial einen Besuch zu widmen. Lange sind wir dort auch nicht alleine, nach kurzer Zeit gesellen sich Stavros Kesedakis aus Griechenland und Begleiter dazu. Es gibt herzliche Begrüßungen, und zusammen erinnern wir uns nochmal an die schlimme Geschichte von 2013.

Wir fahren weiter gen Texas und beschließen unterwegs, unsere Basis für den folgenden Tag in Childress aufzuschlagen, was nicht unbedingt die schlechteste Wahl war, wie sich zeigen sollte. In Childress stoßen auch Ronny und Luise zu uns. Unsere Gruppe ist damit endlich komplett. Und auch andere Chaser haben Childress als Ausgangspunkt gewählt: Am Abend plauschen wir noch mit einem Team aus Neuseeland.

Der Montag stellt synoptisch bereits einen absoluten Höhepunkt dar. Das Storm Prediction Center der NOAA wedelte bereits am Samstag schon mit einem "moderate risk". Dieses wird dann nicht unerwartet am Montag morgen zu einem "High Risk" - der höchsten existierenden Warnstufe - heraufgesetzt. Eine erste Konvektionslinie verlagert sich entlang einer Warmfront bereits am Morgen vom nördlichen Texas Panhandle hinein nach Oklahoma.

Dieses System ist für uns aber noch uninteressant. Wir warten auf eine hereinziehende Dryline, die nahezu perfekte Bedingungen für die Auslöse isolierter Superzellen am Nachmittag liefern würde. Diese Lage ist nicht ungefährlich. Es war zu erwarten, dass diese Zellen allesamt potentiell tornadisch sein würden, und eine hohe Zuggeschwindigkeit aufweisen würden. Dies erfordert eine gewisse Strategie bei der Verlagerung, um nicht unverhofft zwischen die Fronten zu geraten. Dass dies in der Praxis am Ende trotzdem noch schwieriger ist als jede Planung es erlaubt, sollte sich unterwegs auch noch herausstellen. Vor der Abfahrt gab es für die Gruppe nochmal ein generelles Briefing von Markus, insbesondere wegen der Notfalloptionen.

Der Morgen ist gekennzeichnet von tiefer Cumulusbewölkung, die jegliche Einstrahlung verhindert. In der Regel ein eher schlechtes Zeichen. Wir positionieren uns südlich von Childress auf einer Raststelle und warten für einige Stunden auf die Auslöse der ersten Zellen. In der Zwischenzeit kriegen wir Informationen aus mobilen Soundings, die schon stellenweise bizarre Züge annehmen. Einen kreisförmigen Hodographen sieht man jedenfalls nicht jeden Tag...

Die ersten Zellen weisen eine zu unserem Standort recht günstige Zugbahn auf. Wir lassen sie heranziehen und verlagern uns erst Richtung Süden nach Paducah, TX, und anschließend nach Osten. Zu diesem Zeitpunkt haben sich zwei aufeinanderfolgende Superzellen mit Zugrichtung Nordost bis Nordnordost gebildet, denen wir weiter folgen.
Hinter Paducah erreichen uns bereits die ersten Tornado Reports von Spottern, die die Zellen aus Süden und Westen angreifen. Uns dagegen bleibt ein vernünftiger Blick eher verwehrt. Die hohe Grenzschichtfeuchte konnte durch die Bewölkung nicht ausgeräumt werden und schränkt unsere Sicht signifikant ein. An der Rückseite sehen wir den Aufwindturm und etwas Struktur. Es gibt zahlreiche Erdblitze.


Unterdessen vereinigen sich die beiden Zellen langsam und ziehen nach Nordosten weg. Mittlerweile sind wir nach Norden zurückgefahren und beobachten die Zellen nochmals auf Höhe Childress:

In der Zwischenzeit bilden sich bereits die nächsten Superzellen und wir beschließen, die nächste Zelle abzugreifen, indem wir von Childress aus ca. 20 Meilen nach Norden fahren und uns an der Kreuzung Richtung Hollis positionieren. Hier kriegen wir nach etwas Wartezeit und einigen bemerkenswerten Blitzereien eine imposante Böenfront geboten.


Wir lassen uns aber nicht überrollen, und flüchten wieder nach Süden nach Childress und wieder nach Paducah, und von dort noch weiter gen Süden, um weitere Zellen aus Südwesten zu chasen.
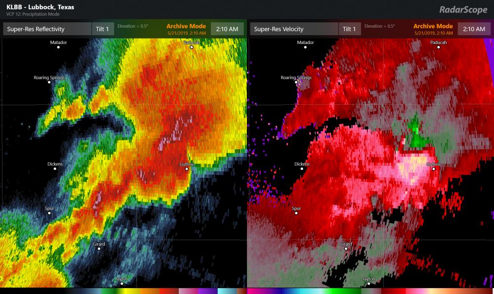
Einige Meilen nördlich von Guthrie halten wir, und warten eine weitere Zelle ab, deren Zugbahn zu diesem Zeitpunkt recht günstig scheint, um sie passieren zu lassen. Leider stellt sich heraus, dass der Schirm bereits eine ganze Menge an Niederschlag produziert, und wir verlagern nochmals ein Stück näher an Guthrie heran und halten nochmals an. Das war ein Fehler. Das Bild zeigt die Zelle am 1. Standpunkt. Markus und Christoph waren sich nicht sicher, ob an der Basis eine Kante von einem Wirbel schwach zu erkennen war:

Was wir zu diesem Zeitpunkt wissen, ist, dass die Zelle sehr starke Rotation aufweist. Was wir noch nicht wissen, ist, dass sie bereits einen Tornado produziert. In dem Moment, als wir merken, dass an der ganzen Situation etwas faul ist, und durch ein aktualisiertes Radarbild bestätigt werden, fangen im benachbarten Guthrie auch schon für uns hörbar die Sirenen an zu heulen.


Keine Minute später erreicht uns der Report eines "very large rainwrapped tornado", der Albtraum eines jeden Chasers. Wir stürmen in unsere Autos und prügeln das Gaspedal durchs Bodenblech. Bloß weg hier...

Nachdem wir dort sehen, wie der inzwischen dominierende Outflow den Rest an Neuentwicklung kaputt macht, packen wir zusammen und fahren gen unserem Zielort nach Abilene.

Auch auf dem Weg dorthin haben wir noch zu tun, einer Reihe von Superzellen auszuweichen, die sich vor Abilene ebenfalls auf dem Weg nach Nordosten befinden. Da kann es passieren, dass die Speed Limit-Schilder im vernünftigen Rahmen in ihrer Bedeutung etwas liberaler ausgelegt werden... Nach einem solchen Tag fallen wir zum Schluss ziemlich gerädert in unsere Motel-Betten. Zum Glück ist morgen wieder frei.